Wydawca treści
Opieńkowa zgnilizna korzeni „Armillarioza” – Armillaria sp.
Odwiedzającemu Polskie lasy, opieńka kojarzy się przede wszystkim z późnojesiennym grzybobraniem. Do koszyków grzybiarzy trafiają wtedy całe wiązki owocników zebranych zarówno z leśnego podłoża jak i zamierających pni drzew. Ten należący do rodziny Physalacriceae grzyb podstawkowy, na spodniej stronie kapelusza zaopatrzony jest w blaszki zaś jego trzon (poza A. tabescens) przyozdabia pierścień. Leśnicy dostrzegając niewątpliwe walory kulinarne owocników opieńki, patrzą na nią jednak głównie przez pryzmat wyrządzanych w lesie szkód.
Opieńkowa zgnilizna korzeni zwana również Armillariozą (od łacińskiej nazwy rodzaju „Armillaria”) jest przez większość czasu grzybem saprotroficznym żyjącym w środowisku leśnym. Jej strzępki przerastają olbrzymie połacie leśnej gleby i znajdujących się na niej szczątków roślin drzewiastych. Drobne włoskowate fragmenty grzyba (strzępki) wrastają do wnętrza zalegających na dnie lasu gałązek, oraz martwych korzeni i konarów czerpiąc z nich substancje odżywcze. Często jednak strzępki trafiając na żyjące drzewa w różnym wieku, stają się patogenem, który uśmierca ofiarę, aby móc rozwijać się dalej na jej obumarłych szczątkach.
Kompleks opieńkowy, czyli kilka występujących w naszym kraju gatunków omawianego grzyba (przede wszystkim A. mellea oraz A. ostoyae) doprowadza do zamierania zarówno drzew pojedynczych jak i całych grup. W naszych warunkach klimatycznych Armillarioza atakuje wszystkie gatunki drzew leśnych preferując świerka, sosnę, jodłę i brzozę. Oczywiście w pełni zdrowe drzewa wykazują większą odporność dzięki różnym naturalnym mechanizmom obronnym. Wszelkie zaburzenia takie jak susze, uszkodzenia pni drzew czy też uszkodzenia ze strony owadów sprawiają, że rośliny stają się łatwym łupem tego groźnego grzyba.
Objawy chorobowe
Opieńka największe szkody wyrządza na uprawach leśnych i w młodnikach. Objawami jej wystąpienia jest na początku opóźnienie rozwoju oraz więdnięcie świeżych pędów. Następnie można zaobserwować szybkie przebarwianie się igliwia na rudo. Na spękaniach kory w okolicy szyi korzeniowej występują wycieki żywicy, zaś po zdjęciu kory można dostrzec grubą warstwę białej grzybni wachlarzowato-dłoniastej. Korzenie poprzerastane są czarnymi sznurami grzybniowymi (tzw. ryzomorfy) oraz oblepione mieszanką gruntu i żywicy wyciekającej z pnia. Ostatecznym dowodem obecności grzyba są wyrastające jesienią w okolicy i na powierzchni martwych roślin owocniki.
Zwalczanie
Walka z Opieńkową zgnilizną korzeni w praktyce leśnej sprowadza się przede wszystkim do profilaktyki i ograniczania jej skutków. Leśnicy kładą duży nacisk na dopasowywanie gatunków sadzonych drzew do konkretnych miejscowych warunków siedliskowych. Wybierane są sadzonki najlepszej jakości, w pełni zdrowe. W celu zmniejszenia ryzyka infekcji unika się sadzenia gatunków bardziej podatnych szczególnie iglastych w miejscach gdzie wcześniej rosły drzewa liściaste. Stosuje się też zróżnicowane składy gatunkowe, aby utrudnić rozprzestrzenianie się grzyba w środowisku. Na terenach, na których stwierdzono wcześniej obecność opieńki przygotowanie gleby ogranicza się do działań punktowych, czyli tzw. „talerzy”. Wynika to z faktu, że uszkodzenie znajdujących się w glebie ryzomorf zwiększa ich potencjał infekcyjny.
W użyciu są również preparaty biologiczne na bazie innych grzybów (Phlebiopsis gigantea oraz Pleurotus ostreatus), którymi zasiedla się pozostające na zrębach pniaki. Wykorzystywana jest tu zasada naturalnej konkurencji pomiędzy wykorzystanymi w preparatach grzybami a opieńką. Posmarowane preparatem pniaki są zasiedlane przez pożądane w lesie grzyby, które zabezpieczają przed wniknięciem strzępek opieńki a tym samym ograniczają jej rozwój na danym obszarze. Niestety jak wszystkie preparaty biologiczne wymagają one odpowiedniej wilgotności i temperatury zaś ich skuteczność uzależniona jest od warunków pogodowych.
Rdza gruszy - utrapienie działkowców i sadowników
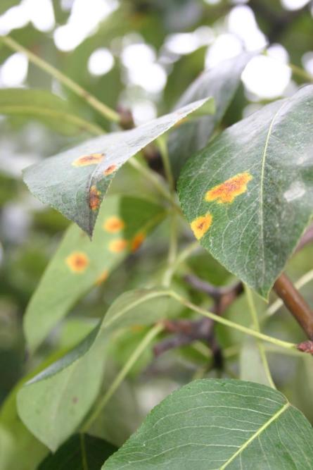
Rdza gruszy – Gymnosporangium sabinae (Diks.) Wint.
Wiosna rozkwitła nie tylko w lasach ale również w sadach i na działkach. Po okresie przymrozków które dały się w tym roku we znaki sadownikom, tym bardziej cieszą zawiązujące się owoce z nieprzemrożonych kwiatów. W tym okresie, szczególnie na amatorskich działkach gdzie nie stosuje się zabezpieczenia chemicznego drzew, można spotkać objawy pewnej choroby o ciekawym cyklu rozwojowym.
Rdza gruszy to choroba powodowana przez patogena grzybowego Gymnosporangium sabinae. Jeszcze na początku ubiegłego wieku była w naszym kraju ciekawostką i rzadkością. W ostatnich latach coraz częściej jednak spotykana jest w polskich sadach oraz na działkach, szczególnie w amatorskiej przydomowej hodowli. Przedmiotem ataku są liście oraz przy zaawansowanej infekcji również owoce, ogonki liściowe a czasem nawet pędy gruszy. Organizm rośliny zostaje silnie osłabiony zaś jakość owoców znacząco spada.
Objawy chorobowe.
Dzięki swoim charakterystycznym objawom, trudno pomylić ją z innymi chorobami. Na wierzchniej stronie liścia gruszy pojawiają się pomarańczowe lub żółtawe plamy z licznymi czarnymi kropeczkami. Z początku plamy na liściach są pojedyncze, z czasem występują grupowo na całym drzewie. Od spodu tworzą się narośla ze stożkowymi wypustkami. Wyrostki te o długości 3-4 mm i średnicy ok. 1mm to tzw. ecja, czyli skupiska zarodników grzyba.
Przebieg choroby
Rdza gruszy jest grzybem dwudomowym. Do swojego rozwoju potrzebuje gruszy oraz Jałowca sabińskiego (Juniperus sabina) który jest żywicielem pośrednim. Niektóre źródła podają że może występować również na innych gatunkach jałowca prócz jałowca pospolitego (Juniperus comunis). Powstające najczęściej w sierpniu na spodniej stronie liści, żółtawe ecja wytwarzają zarodniki grzyba – tzw. ecjospory. Zarodniki infekują jałowiec i na nim wytwarzają skupiska zarodników przetrwalnikowych w formie fantazyjnych żółtopomarańczowych poduszeczek i stożków. W tej formie grzyb zimuje. Wiosną na jałowcu powstają zarodniki podstawkowe które infekują pąki liściowe gruszy.
Zapobieganie i zwalczanie
Ponieważ rdza gruszy jest grzybem dwudomowym, najlepszą metodą zapobiegania jego wystąpienia jest usuwanie żywiciela pośredniego czyli jałowca sabińskiego. Szczególnie trudne jest to w przypadku amatorskiej uprawy w przydomowych ogrodach lub na działkach gdyż zarodniki mogą rozwijać się na jałowcach rosnących u sąsiadów, nawet u tych dalszych. Dodatkowo zalecane jest jesienią dokładne grabienie liści i ich palenie. Zabiegi chemiczne wykonuje się wiosną. Pierwsze opryski przeprowadza się na pękające pąki, aż do końca okresu kwitnienia z częstotliwością co 5-10 dni. Ewentualne kolejne zabiegi w późniejszym okresie należy powtarzać rzadziej, co 10-14 dni.
Grzyby patogeniczne w uprawach leśnych.
Zamieranie wierzchołków pędów sosny ( Sphaeropsis sapinea )
Grzyb ten do niedawna figurował na liście kwarantannowej. W chwili obecnej jest grzybem powszechnym jak osutka. Jest oceniany jako mniej agresywny niż jego rasa na zachodzie Europy. Grzyb ten poraża pączki. W pierwszych fazach rozwoju hamuje rozwój, niszcząc pęd poniżej wierzchołka w tym wszystkie igły w strefie porażenia. Grzyb nie atakuje strzałki.
W drzewostanach patogen ten występuje powszechnie na końcach pędów sosny - zahamowany w rozwoju i zamarły przyrost dość wyraźnie odróżnia się od zdrowej części pędu. Porażenie grzybem następuje na młodych jeszcze nie zdrewniałych pędach. W szkółkach na sadzonkach sosny objawia się przechylaniem wierzchołka sadzonki i parasolowatym kształtem igieł opuszczających się ku dołowi. Grzyb chętnie poraża drzewka przenawożone azotem, dlatego też niekiedy stwierdza się masowy pojaw w szkółkach produkujących sadzonki kontenerowe. W 2009 r. na terenie RDLP Warszawa wystąpiła silna epizoocja grzyba na sośnie kontenerowejw szkółce oraz na uprawach.
Najnowsze aktualności
Rdza gruszy - utrapienie działkowców i sadowników
Rdza gruszy - utrapienie działkowców i sadowników
Rdza gruszy – Gymnosporangium sabinae (Diks.) Wint.
Wiosna rozkwitła nie tylko w lasach ale również w sadach i na działkach. Po okresie przymrozków które dały się w tym roku we znaki sadownikom, tym bardziej cieszą zawiązujące się owoce z nieprzemrożonych kwiatów. W tym okresie, szczególnie na amatorskich działkach gdzie nie stosuje się zabezpieczenia chemicznego drzew, można spotkać objawy pewnej choroby o ciekawym cyklu rozwojowym.
Rdza gruszy to choroba powodowana przez patogena grzybowego Gymnosporangium sabinae. Jeszcze na początku ubiegłego wieku była w naszym kraju ciekawostką i rzadkością. W ostatnich latach coraz częściej jednak spotykana jest w polskich sadach oraz na działkach, szczególnie w amatorskiej przydomowej hodowli. Przedmiotem ataku są liście oraz przy zaawansowanej infekcji również owoce, ogonki liściowe a czasem nawet pędy gruszy. Organizm rośliny zostaje silnie osłabiony zaś jakość owoców znacząco spada.
Objawy chorobowe.
Dzięki swoim charakterystycznym objawom, trudno pomylić ją z innymi chorobami. Na wierzchniej stronie liścia gruszy pojawiają się pomarańczowe lub żółtawe plamy z licznymi czarnymi kropeczkami. Z początku plamy na liściach są pojedyncze, z czasem występują grupowo na całym drzewie. Od spodu tworzą się narośla ze stożkowymi wypustkami. Wyrostki te o długości 3-4 mm i średnicy ok. 1mm to tzw. ecja, czyli skupiska zarodników grzyba.
Przebieg choroby
Rdza gruszy jest grzybem dwudomowym. Do swojego rozwoju potrzebuje gruszy oraz Jałowca sabińskiego (Juniperus sabina) który jest żywicielem pośrednim. Niektóre źródła podają że może występować również na innych gatunkach jałowca prócz jałowca pospolitego (Juniperus comunis). Powstające najczęściej w sierpniu na spodniej stronie liści, żółtawe ecja wytwarzają zarodniki grzyba – tzw. ecjospory. Zarodniki infekują jałowiec i na nim wytwarzają skupiska zarodników przetrwalnikowych w formie fantazyjnych żółtopomarańczowych poduszeczek i stożków. W tej formie grzyb zimuje. Wiosną na jałowcu powstają zarodniki podstawkowe które infekują pąki liściowe gruszy.
Zapobieganie i zwalczanie
Ponieważ rdza gruszy jest grzybem dwudomowym, najlepszą metodą zapobiegania jego wystąpienia jest usuwanie żywiciela pośredniego czyli jałowca sabińskiego. Szczególnie trudne jest to w przypadku amatorskiej uprawy w przydomowych ogrodach lub na działkach gdyż zarodniki mogą rozwijać się na jałowcach rosnących u sąsiadów, nawet u tych dalszych. Dodatkowo zalecane jest jesienią dokładne grabienie liści i ich palenie. Zabiegi chemiczne wykonuje się wiosną. Pierwsze opryski przeprowadza się na pękające pąki, aż do końca okresu kwitnienia z częstotliwością co 5-10 dni. Ewentualne kolejne zabiegi w późniejszym okresie należy powtarzać rzadziej, co 10-14 dni.
